Auction
Favourite icon active Favourite icon inactive

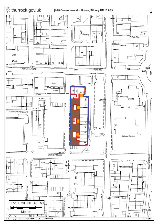
1-18 Commonwealth House Parade, Montreal Road, Tilbury, RM18 7QX

  • Auction
  • Lot 9
  • United Kingdom
  • Retail
  • Commercial

Guide Price* £795,000

Bidder Security £9,000 *fully refundable if unsuccessful bidder
Auction Date 16 December
Bidding Opens 11:00 (GMT)
Bidding Closes 14:20 (GMT)

Property Viewings

Viewings have not yet been scheduled for this property.
Book Viewing

Property Summary

  • Long leasehold multi-let retail investment
  • Includes 18 lock-up retail units
  • Established retail parade
  • Asset management opportunities
  • 8 week completion available
  • Producing £102,150 per annum
  • Offered on the instructions of Thurrock Council

Contact Us

Simon Bailey
Simon Bailey
Property Agent, here to help.
Mat Harris
Mat Harris
Property Agent, here to help.
Thomas​​​​ Howard
Vendor's Solicitor

Contact Us

Simon Bailey
Simon Bailey
Property Agent, here to help.
Mat Harris
Mat Harris
Property Agent, here to help.
Thomas​​​​ Howard
Vendor's Solicitor

Downloads

Property description

The ground floor only of a larger three storey building arranged as 18 lock-up retail units. The units each provide a mix of retail accommodation and rear ancillary/storage accommodation. Some the of units have rear yard areas some have rear garage/storage buildings and each unity benefits from delivery access from the rear service area.

The upper floors of the building provide residential accommodation, which does not form part of the sale. There is a large free customer car park to the front of the parade.

Location

The port town of Tilbury lies on the north bank of the River Thames approximately 26 miles south east of Central London. It can be accessed via the A1089, which links with the A13 approximately 5 miles to the north. The town is one of the UK's three major container ports and also provides a ferry between Tilbury and Gravesend. Tilbury railway station provides regional rail services as well as regular direct services to London Fenchurch Street and additonally numerous bus routes serve the area,

Montreal Road forms part of the A126 in the town centre. The parade commands a prominent position at the junction of Montreal Road and Calcutta Road in a mixed commercial and residential area. Notable nearby occupiers include Tesco Express.

Planning

Thurrock Council (01375 652291) - www.thurrock.gov.uk

Tenure

Leasehold for a term of 200 years at a ground rent of £100 per annum with CPIH increases every 10 years (refer to legal pack)

Additional Details

AddressUseAccommodationSizeTenantLease StartLease ExpiryRent (£pa)Rent ReviewRent Deposit 
1 Commonwealth HouseRetailRetail/ancillary62 sq m (667 sq ft)Individual06.09.202405.09.2029£8,000n/a£4,000 
2 Commonwealth HouseLaunderetteRetail/ancillary76 sq m (818 sq ft)Individual30.08.202429.08.2029£6,000n/an/a 
3 Commonwealth HousePet shopRetail/ancillary63 sq m (678 sq ft)Individual22.03.201921.03.2024 (holding over)£5,250n/an/a 
4 Commonwealth HouseEmployment agencyRetail/ancillary60 sq m (646 sq ft)Individual11.07.201910.07.2024 (holding over)£5,500n/a£2,500 
5 Commonwealth HouseHairdressersRetail/ancillary122 sq m (1,313 sq ft)Individual05.10.201704.10.2027£8,700n/an/a 
6 Commonwealth HouseHairdressersRetail/ancillary 
7 Commonwealth HouseRetailRetail/ancillary54 sq m (581 sq ft)Girls Empowerment Initiative CIC03.09.201902.09.2024 (holding over)£5,250n/a£5,250 
8 Commonwealth HouseHaberdashery/tailorsRetail/ancillary52 sq m (560 sq ft)Individual02.11.201801.11.2023 (holding over)£5,000n/a£2,500 
9 Commonwealth HouseMobile/computer shopRetail/ancillary59 sq m (635 sq ft)Individual22.03.201921.03.2024 (holding over)£5,750n/an/a 
10 Commonwealth HouseCarpet shopRetail/ancillary68 sq m (732 sq ft)Individual30.09.202122.09.2026£6,000n/a£3,000 
11 Commonwealth HouseClothing/hairdressersRetail/ancillary56 sq m (603 sq ft)Individual08.08.202207.08.2027£5,650n/an/a 
12 Commonwealth HouseCharity shopRetail/ancillary118 sq m (1,270 sq ft)The Trustees of Lady McAdden's Breast Screening Trust24.11.201523.11.2030£10,25024.11.2021n/a  
13 Commonwealth HouseCharity shopRetail/ancillary 
14 Commonwealth HouseButchersRetail/ancillary58 sq m (624 sq ft)Individual01.07.202430.06.2029£8,000n/an/a 
15 Commonwealth HouseFish & chip shopRetail/ancillary47 sq m (506 sq ft)Individual26.10.201725.10.2032£5,80025.10.2022n/a 
16 Commonwealth HouseDessert shopRetail/ancillary50 sq m (538 sq ft)Individual26.07.202125.07.2026£5,000 £2,500 
17 Commonwealth HouseGreengrocer/butcherRetail/ancillary

81 sq m (872 sq ft)

Individual31.07.202430.07.2029£12,000n/a£2,250 
18 Commonwealth HouseGreengrocer/butcherRetail/ancillary 
Total  1,026 sq m (11,040 sq ft)   £102,150   

The auctioneers have not measured the property. All areas have been obtained from the EPCs.

VAT

Please refer to Legal Documents

Additional Information

There is a full data room hosted by the Seller's solicitors, Browne Jacobsen. To request access to the data room please click on the 'View Legal Pack' button above and follow the instructions.

Energy Performance Indicator

Please refer to Legal Documents

Helpful links

*Terms & Conditions

Buyers are strongly advised to read these terms and conditions, and check the Special Conditions and any applicable Addendum, prior to bidding on a Lot. Additional costs, charges and encumbrances may apply for Buyers once they have made a successful bid in relation to a property.

  1. The reserve price is the minimum price at which the property can be sold at auction.
  2. Where a guide price (or range of prices) is given, that guide is the minimum price at which, or range of prices within which, the seller may be prepared to sell on the date on which the guide price, or range of prices, is published. The sale price, whether prior to or at the auction, can be above or below the guide price depending upon market activity. BidX1 and the seller accept no responsibility for any losses, costs or damages incurred by a buyer as a result of relying on any guide price. The buyer must decide how much they should bid for any Lot. All guide prices are quoted subject to contract. Guide prices given by BidX1 or the seller cannot be accepted by the buyer as being a professional valuation for any purpose in accordance with the requirements or guidance notes of relevant professional bodies or other authorities.
  3. Both the guide price and the reserve price may be subject to change up to and including the day of the auction. Whilst every effort is made to ensure that these guides are not misleading, it is possible that the reserve price set for any Lot may exceed the previously quoted guide price (as the seller may fix the final reserve price just before bidding commences).
  4. The guide price for the Lot does not include the buyer’s fee of £1,295 (inclusive of VAT) for all properties up to £49,999, and £2,400 (inclusive of VAT) for all properties £50,000 and above charged by BidX1. In the case of a joint agent this buyer’s fee will be £2,700 (inclusive of VAT). In addition, the guide price does not include VAT on the sale price, or any additional costs, charges or encumbrances that might apply to some Lots and/or some buyers. The Special Conditions of Sale of the seller, and any applicable Addendum, will state if there are other costs, charges or encumbrances and whether the seller has elected to charge VAT on the sale price.
  5. To participate in the sale BidX1 must hold a minimum amount from all bidders. This participation amount and buyer’s fee is fully refundable in the event that you are not the successful purchaser. For example, a participation fee of £4,795 comprises £3,500 relating to your bidder security (partial deposit payment) and a buyer’s fee payable directly to BidX1. A higher participation amount may be payable depending on the reserve price of the Lot.
  6. Please note that Lots may be sold or withdrawn prior to auction.
  7. All Lots sold “Subject to Vendor Confirmation” will be subject to acceptance and confirmation by the Vendor. The highest bid will be presented to the Vendor, the Vendor will have to either accept, decline or make a counteroffer, within the confirmation period. Should the Vendor decide to make a counteroffer, then a private link will be sent to the Highest Bidder advising of the offer the Vendor is willing to accept. The Highest Bidder will be obliged to accept or reject the Vendor's counteroffer. The Vendor reserves the ultimate right, apart from the auctioneer, to accept and to decline to sell to the highest or any bidder, without giving any reasons.
  8. No information, statement, description, quantity or measurement contained in any sales particulars or given orally or contained in any webpage, brochure, catalogue, email, letter, report, docket or hand out issued by or on behalf of BidX1 or the seller in respect of the property shall constitute a representation or a condition or a warranty on behalf of BidX1 or the seller. Any information, statement, description, quantity or measurement so given or contained in any such sales particulars, webpage, brochure, catalogue, email, letter, report or hand out issued by or on behalf of BidX1 or the seller are for illustration purposes only and are not to be taken as matters of fact. Any mistake, omission, inaccuracy or mis-description given orally or contained in any sales particulars, webpage, brochure, catalogue, email, letter, report or hand out issued by or on behalf of BidX1 or the seller shall not give rise to any right of action, claim, entitlement or compensation against BidX1 or the seller. All bidders must satisfy themselves by carrying out their own independent due diligence, inspections or otherwise as to the correctness of any and all of the information, statements, descriptions, quantity or measurements contained in any such sales particulars, webpage, brochure, catalogue, email, letter, report or hand out issued by or on behalf of BidX1 or the seller.
days hours minutes second seconds Bidding Closed