Auction
Favourite icon active Favourite icon inactive

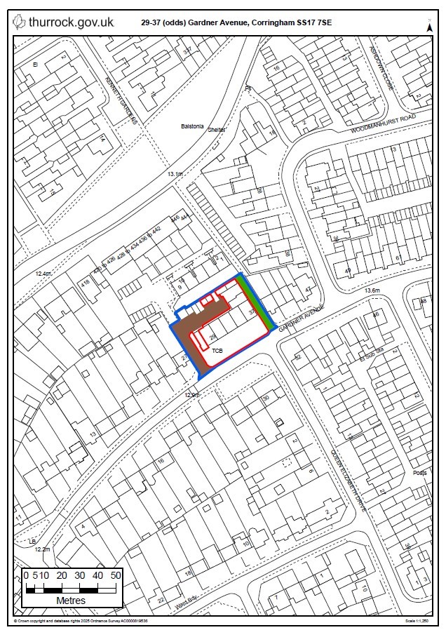
29, 31, 33, 35 & 37 Gardner Avenue Parade, Corringham, SS17 7SE

  • Auction
  • Lot 5
  • United Kingdom
  • Retail
  • Commercial

Sold for £451,000

Property Summary

  • Long leasehold retail investment
  • Let to The Co-operative Group Ltd until 2036 (subject to break option in 2031)
  • Residential location
  • 8 week completion available
  • Producing £31,650 per annum
  • Offered on the instructions of Thurrock Council

Contact Us

Simon Bailey
Simon Bailey
Property Agent, here to help.
Thomas​​​​ Howard
Vendor's Solicitor

Contact Us

Simon Bailey
Simon Bailey
Property Agent, here to help.
Thomas​​​​ Howard
Vendor's Solicitor

Downloads

Property description

The ground floor only of of a larger three storey building arranged as a single retail unit totalling approximately 315 sq m (3,389 sq ft). The unit provides a large sale area plus additonal ancillary accommodation to the rear as well as a rear yard/storage area. There is also delivery access via the rear service area.

The upper floors of the building provide residential accommodation, which does not form part of the sale. There is on street customer car parking to the front of the building.

Location

Corringham lies immediately to the east of Stanford-le-Hope approximately 28 miles east of central London and 15 miles west of Southend-on-Sea. The town lies to the south of the A13, from which it can be accessed via the A1014 and High Road. Nearby Stanford-le-Hope railway station provides provides regional rail links as well as direct services to London Fenchurch Street with a journey time of approximately 50 minutes. Additionally numerous bus routes serve the area.

Gardner Avenue Lies to the north west of the town centre just to the south of the A13 (Stanfor-le-Hope Bypass). The property lies on the north side of the road opposite the junction with Queen Elizabeth Drive in a predominantly residential area.

Planning

Thurrock Council (01375 652291) - www.thurrock.gov.uk

Tenure

Leasehold for a term of 200 years at a ground rent of £100 per annum with CPIH increases every 10 years (refer to legal pack)

Additional Details

AddressUseAccommodationSizeTenantLease StartLease ExpiryRent (£pa)Rent ReviewRent Deposit
29, 31, 33, 35 & 37 Gardner AvenueSupermarketRetail/ancillary315 sq m (3,389 sq ft)The Co-operative Group Ltd04.10.202103.10.2036 (1)£31,65004.10.2026n/a
Total      £31,650  

(1) The tenant may determine the lease at any time on or after 03.10.2031 upon the serving of no less than 6 months notice

The auctioneers have not measured the property. All areas have been obtained from the EPCs.

VAT

Please refer to Legal Documents

Additional Information

There is a full data room hosted by the Seller's solicitors, Browne Jacobsen. To request access to the data room please click on the 'View Legal Pack' button above and follow the instructions.

Buyer's Fee

A Buyer's Fee of £2,400 (inclusive of VAT) is applicable to the successful purchaser of this lot. If you have not made the successful bid for the property, the Buyer's Fee will be refunded to you.

Energy Performance Indicator

Please refer to Legal Documents

Helpful links

*Terms & Conditions

Buyers are strongly advised to read these terms and conditions, and check the Special Conditions and any applicable Addendum, prior to bidding on a Lot. Additional costs, charges and encumbrances may apply for Buyers once they have made a successful bid in relation to a property.

  1. The reserve price is the minimum price at which the property can be sold at auction.
  2. Where a guide price (or range of prices) is given, that guide is the minimum price at which, or range of prices within which, the seller may be prepared to sell on the date on which the guide price, or range of prices, is published. The sale price, whether prior to or at the auction, can be above or below the guide price depending upon market activity. BidX1 and the seller accept no responsibility for any losses, costs or damages incurred by a buyer as a result of relying on any guide price. The buyer must decide how much they should bid for any Lot. All guide prices are quoted subject to contract. Guide prices given by BidX1 or the seller cannot be accepted by the buyer as being a professional valuation for any purpose in accordance with the requirements or guidance notes of relevant professional bodies or other authorities.
  3. Both the guide price and the reserve price may be subject to change up to and including the day of the auction. Whilst every effort is made to ensure that these guides are not misleading, it is possible that the reserve price set for any Lot may exceed the previously quoted guide price (as the seller may fix the final reserve price just before bidding commences).
  4. The guide price for the Lot does not include the Buyer’s Fee charged by BidX1. This fee will be displayed on each Lot listing. In addition, the guide price does not include VAT on the sale price, or any additional costs, charges or encumbrances that might apply to some Lots and/or some buyers. The Special Conditions of Sale of the seller, and any applicable Addendum, will state if there are other costs, charges or encumbrances and whether the seller has elected to charge VAT on the sale price.
  5. To participate in the sale, BidX1 must hold a minimum amount from all bidders. This participation amount and buyer’s fee is fully refundable in the event that you are not the successful purchaser. For example, a participation fee of £5,000 comprises £3,500 relating to your bidder security (partial deposit payment) and a buyer’s fee payable directly to BidX1. A higher participation amount may be payable depending on the reserve price of the Lot.
  6. Please note that Lots may be sold or withdrawn prior to auction.
  7. All Lots sold “Subject to Vendor Confirmation” will be subject to acceptance and confirmation by the Vendor. The highest bid will be presented to the Vendor, the Vendor will have to either accept, decline or make a counteroffer, within the confirmation period. Should the Vendor decide to make a counteroffer, then a private link will be sent to the Highest Bidder advising of the offer the Vendor is willing to accept. The Highest Bidder will be obliged to accept or reject the Vendor's counteroffer. The Vendor reserves the ultimate right, apart from the auctioneer, to accept and to decline to sell to the highest or any bidder, without giving any reasons.
  8. No information, statement, description, quantity or measurement contained in any sales particulars or given orally or contained in any webpage, brochure, catalogue, email, letter, report, docket or hand out issued by or on behalf of BidX1 or the seller in respect of the property shall constitute a representation or a condition or a warranty on behalf of BidX1 or the seller. Any information, statement, description, quantity or measurement so given or contained in any such sales particulars, webpage, brochure, catalogue, email, letter, report or hand out issued by or on behalf of BidX1 or the seller are for illustration purposes only and are not to be taken as matters of fact. Any mistake, omission, inaccuracy or mis-description given orally or contained in any sales particulars, webpage, brochure, catalogue, email, letter, report or hand out issued by or on behalf of BidX1 or the seller shall not give rise to any right of action, claim, entitlement or compensation against BidX1 or the seller. All bidders must satisfy themselves by carrying out their own independent due diligence, inspections or otherwise as to the correctness of any and all of the information, statements, descriptions, quantity or measurements contained in any such sales particulars, webpage, brochure, catalogue, email, letter, report or hand out issued by or on behalf of BidX1 or the seller.
days hours minutes second seconds Bidding Closed